This Forum will close on Wednesday 27 March, 2024. Please refer to the announcement on the Discussions page for further detail.
Bay tree issues (yellowing/browning leaves)
Hi all,
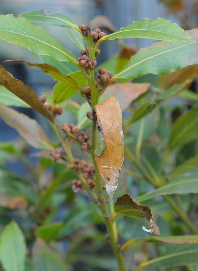
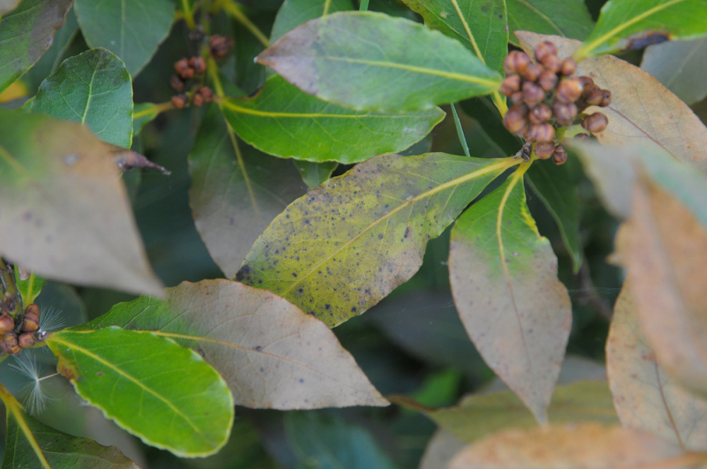
I've got a bay tree which has started looking decidedly unhappy - within the last couple of weeks, the leaves have started to go "tough", and are going a rusty yellowish brownish colour. Some of them have obviously been eaten by something, others have black spots on them, some have a white "candy floss-like" substance on them, and there's little insects on some of them (they look a bit like a grey aphid):




The plant itself is 15+ years old, and is relatively large (approximately 3' across/tall). It's kept in a pot near to the house in a north-facing garden - it is relatively sheltered from the cold but not so much the wind (although it doesn't normally get windy), and gets a reasonable amount of light but isn't in full sun. I'm sure it needs to go in a larger pot.
Any ideas what this is, and how it can be treated would be greatly appreciated. I think it may have bay sucker, but I don't know if there are other issue showing as well.
Thanks
Thanks
0
Posts
Gardening in Central Norfolk on improved gritty moraine over chalk ... free-draining.
Use pot feet or similar to keep the pot raised off the ground a little to ensure free drainage - esp. important in winter.
If it's struggling in the pot it's in it'll not be in the best of health leaving it open to attack by all sorts of bugs and diseases.
It may well have dried out too which would weaken it further.
I give mine in pots a feed with seaweed extract once a month and they're in fine health.
Mine are also in complete shade except for a couple of hours of sun during summer mornings
Billericay - Essex
Knowledge is knowing that a tomato is a fruit.
Wisdom is not putting it in a fruit salad.
Gardening in Central Norfolk on improved gritty moraine over chalk ... free-draining.
The pot it's in is about 12" in diameter (inside), and a little taller. I'll have a look for a new pot (I assume something about 2' in diameter would be about right?) and re-pot it as directed.
I'll also pick up some seaweed fertiliser. Is there anything else I should be doing in the mean-time?
Thanks!
Your plan sounds good.
A much bigger pot and a John Innes compost with added grit will suit it nicely and should keep it going for years.
The seaweed will help to keep it in good health.
If you have access to rainwater, use that for watering and feeding.
Once in a blue moon (sometime in summer, but not this year) give the pot a really thorough soak until lots of water comes from the bottom of the pot.
Using fertilizers on plants in pots can cause a build up of unused minerals - It's good to flush them out once a year - a bit like a car service
Billericay - Essex
Knowledge is knowing that a tomato is a fruit.
Wisdom is not putting it in a fruit salad.