This Forum will close on Wednesday 27 March, 2024. Please refer to the announcement on the Discussions page for further detail.
Bay tree issue




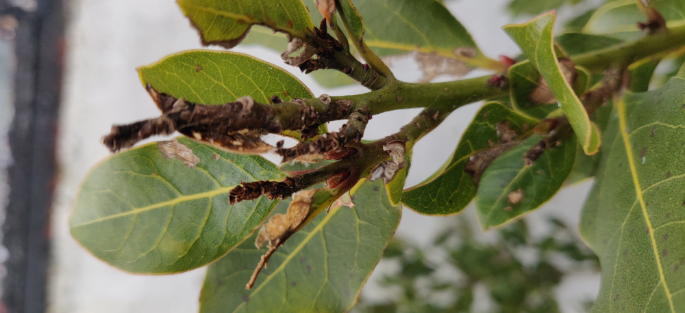
As photos, I have two small bay trees one of which is fine and the other looks like the above.
The issue occurs on new leaves and old, and I originally thought it might be an insect as sometimes the rear of the leaves has small orange/brown bumps on it (can't find any to show now). It is in a container so I don't know if that makes a difference.
Does anyone have any clue what this is or how I might solve it? Thanks in advance.
Steve
0
Posts