This Forum will close on Wednesday 27 March, 2024. Please refer to the announcement on the Discussions page for further detail.
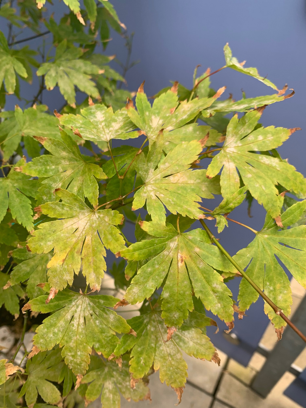
scorched acer?
my acer was doing really well a few months ago and had a lot of new branches sprouting but now the leaves are turning brown and dropping a lot sooner than they would normally - usually they turn orange in the autumn and then drop. The leaves also have some powdery white marks on them.
I'm not sure if its been scorched by the really hot spring sun that we had - it doesn't have any shade on it until the afternoon. Any advice greatly received!


I'm not sure if its been scorched by the really hot spring sun that we had - it doesn't have any shade on it until the afternoon. Any advice greatly received!



0
Posts
Keep it well watered.
Keep out of strong winds.
When you don't even know who's in the team
S.Yorkshire/Derbyshire border
I live in west central Scotland - not where that photo is...